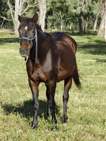
Red Bluff Tarra
Red Bluff Tarra
MHAA : 83
AMHA : 0157739
Colour : Brown
Sire : Marvelous Encore
Dam : Mt Tawonga Miss Mary
Tarra is a proven mare and a wonderful mother, passing on her excellent temperament, her strength and resilience, and yet gentle, passive nature to her offspring.
Her Sire, Marvelous Encore, is “one of the most influential stallions in the Australian breeding scene over the last 14 years” (exc. Red Bluff Morgans).He is a full lippitt stallion.
Her Dam, Miss Mary, is a highly renowned mare within the Australian Morgan horse community and her cross with Marvelous Encore has produced what is commonly referred to as the “golden cross”, producing elite offspring, with true Morgan type, temperament and conformation.
She is a full sister to multiple supreme champion, Red Bluff Tatiana and a full sister to Mt Tawonga Tarraji, a proven stallion at MCM.
Marvelous Encore (Imp)Optional | Ryegate MajorOptional | Stillwater IndigoOptional | Moro Hill's AdonisOptional |
Natick Moro IndependenceOptional | |||
Major's NubbinOptional | Allen's MajorOptional | ||
Lippitt GeorgianaOptional | |||
Moro Hil's RoyritaOptional | Dyberry EthanOptional | Lippitt GeorgeOptional | |
Lippitt Miss NekomiaOptional | |||
Lippitt Rita RoyOptional | Lippitt Rob RoyOptional | ||
AlritaOptional | |||
Mt Tawonga Miss MaryOptional | Aura Dell Charlie BrownOptional | Saddleback SultanOptional | Orcland DondarlingOptional |
Donene PepperOptional | |||
Saddleback SundanceOptional | Applevale DonalectOptional | ||
Waltz TimeOptional | |||
Lizotte Lil BridgetOptional | Wawayanda Watch Out (Imp)Optional | Wawayanda WallingtonOptional | |
Wawayanda MarquinOptional | |||
Ortawn's PremierOptional | |||
Foals By Tarra
Foaled : 14.10.2012
Colour : Brown
Sire : Briarlane Ebony Fortune
Kozi's Mighty Samson
Foaled : 26.01.2016
Colour : Black / Brown
Sire : DWP Hot Gossip















